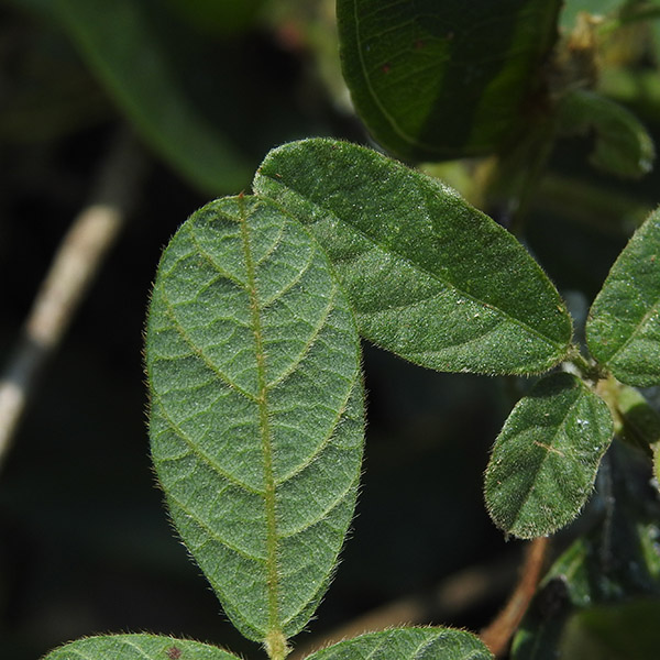
This native vine or climber
is commonly known as
woolly glycine.
Glycine tomentella
is described as a "dicot"
in the
Leguminosae
family.
In the Queensland Nature Conservation Act it is classified as Least Concern.
Under the Federal Environment Protection Biodiversity Conservation Act it is not classified.
It has been recorded in the Wide Bay district in the Queensland Herbarium Census and is
listed as occurring in the Fraser Coast region in the Atlas of Living Australia.
Reported at 7 Fraser Coast localities: Wondunna, Duckinwilla, Dundowran Beach, Toogoom, Granville, Talegalla Weir, Bauple Forest.
Fraser Coast distribution based on field reports.
AVH